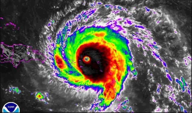
Hola de nuevo amigos de la meteo. Irma se dirige en estos momentos a Puerto Rico, vientos sostenidos de casi 300 km/h y rachas que superan los 340. Son las Islas Virgenes Británicas y Americanas las que ahora mismo sufren el azote de este poderoso huracán. Os paso unas imágenes de satélite recientes.

El nivel del mar se espera que suba siete metros ( marejada ciclónica), que unido a las grandes olas, lo hará extremadamente peligroso.
Hace unas horas el ojo del huracán Irma paso por la Isla San Martín. Dejando a su paso mucha destrucción. Os paso una imagen y videos.
