>

Blogs

Jose Luis Escudero Gallegos

Tormentas y Rayos Jose Luis Escudero

Última hora de las lluvias en la provincia de Málaga. El huracán Melissa llegará a Cuba en unas horas

Buenos días, amigos de la meteo. Como comenté ayer, las precipitaciones llegarán a la provincia de Málaga antes del mediodía, empezando por la zona más occidental. A los portales de Málaga capital más tarde. Mañana pondré los acumulados de la provincia y veremos en que zonas ha llovido mas.

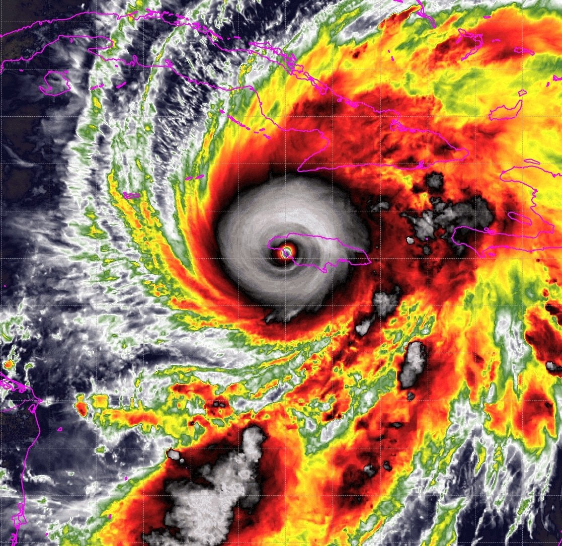
El huracán Melissa llegará a Cuba en unas horas

El huracán Melissa, después de arrasar Jamaica, está a punto de tocar tierra en Cuba como categoría 3, con vientos sostenidos de 205 km/h.

El Centro Nacional de Huracanes comenta esto es su pagina traducida al español, por cierto regular

SE ESPERA QUE MELISSA TOQUE TIERRA PRONTO EN EL SUR

COSTA ORIENTAL DE CUBA COMO UN HURACÁN MAYOR EXTREMADAMENTE PELIGROSO…

En el este de Cuba, se esperan precipitaciones totales de entre 10 y 20 pulgadas durante la tormenta. Se esperan precipitaciones hasta hoy, con cantidades locales de hasta 25 pulgadas.

sobre terreno montañoso. Esto causará peligro de muerte y inundaciones repentinas potencialmente catastróficas con numerosos deslizamientos de tierra.

MAREJADA CICLÓNICA: Existe la posibilidad de una marejada ciclónica significativa a lo largo de la costa sureste de Cuba esta mañana temprano. Altura máxima de la marejada ciclónica.

Podría alcanzar de 8 a 12 pies por encima de los niveles normales de marea, cerca y hacia el al este de donde el centro de Melissa toca tierra. Esta marejada ciclónica

Estará acompañado de olas grandes y destructivas. Pequeñas olas costeras. Es posible que se produzcan inundaciones en bahías y ensenadas a lo largo de la costa norte de Cuba oriental.

 


 

 

Ayer antes de arrasar Jamaica

El TERRAL NO VIENE DE ÁFRICA. ! QUE ABURRIDA SERIA LA VIDA SI TUVIÉRAMOS QUE SUFRIR MONÓTONOS CIELOS DESPEJADOS DÍA TRAS DÍA ( Gavin Pretor) ! BLOG TORMENTA Y RAYOS . JOSE LUIS ESCUDERO

Sobre el autor


octubre 2025
MTWTFSS
  12345
6789101112
13141516171819
20212223242526
2728293031