>
Menú
Blogs
Jose Luis Escudero Gallegos
Tormentas y Rayos Jose Luis Escudero
h
Viernes, 4 julio 2014, 07:17
Temas
Comentarios
Jose Luis Escudero Gallegos
Tormentas y Rayos Jose Luis Escudero
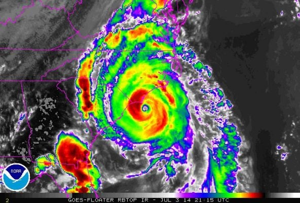
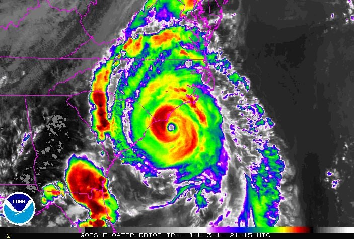
El TERRAL NO VIENE DE ÁFRICA. ! QUE ABURRIDA SERIA LA VIDA SI TUVIÉRAMOS QUE SUFRIR MONÓTONOS CIELOS DESPEJADOS DÍA TRAS DÍA ( Gavin Pretor) ! BLOG TORMENTA Y RAYOS . JOSE LUIS ESCUDERO
Sobre el autor
Buscador
mayo
2026
M
T
W
T
F
S
S
1
2
3
4
5
6
7
8
9
10
11
12
13
14
15
16
17
18
19
20
21
22
23
24
25
26
27
28
29
30
31
Suscríbete
Secciones
Servicios
Portada
Málaga
Málaga capital
SUR Marbella
Costa del Sol
Axarquía
Interior
Turismo
Acción Solidaria
Feria
Semana Santa
Carnaval
SUR Historia
Sucesos
SUR Marbella
SUR Manilva
SUR Rincón
SUR Ronda
SUR Torremolinos
Andalucía
España
Elecciones generales
Lotería de Navidad
Mundo
Europa
Estados Unidos
América Latina
Asia
Oceanía
Oriente Próximo
África
Opinión
Economía
Agroalimentación
Autónomos
Banca
Empresas
Empresas malagueñas
Fiscalidad
Málaga en futuro
Mercados
Motor
Pensiones
Pensiones
Quién es quién en Málaga
Vivienda
Deportes
Málaga CF
Fútbol
Unicaja CB
Baloncesto
Tenis
Ciclismo
Fórmula 1
Motociclismo
Dorsal SUR
Culturas
Pantallas
Festival de Málaga
Cine
Libros
Música
Televisión
Málaga en la mesa
Restaurantes
Vinos
Ensaladilla rusa en Málaga
Gente y estilo
Six - LGTBI
Sociedad
Cumbre Cambio Climático COP25
Ciencia
Educación
B de bulo
Salud
Padres e hijos
Vivir
Antropía
Motor
Tecnología
Planes
Senderismo
Playas
XLSemanal
Mujer Hoy
Fotos
Vídeos
Pasatiempos
Newsletters
Cartelera de cine
Promociones
Programación TV
Sorteos
Esquelas
Sur in English
Local Digital Kit
El tiempo
Hemeroteca
RSS
Oferplan
Coches
Pisos
Empleo
Blogs
TopComparativas